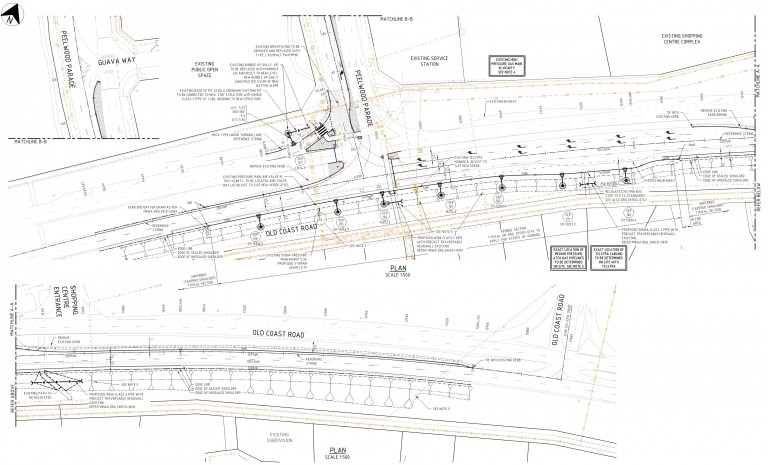
Old coast Road Widening and Intersection Upgrade
The Serling Consulting team provided the detailed design and technical support of Doric’s intersection upgrade at Halls Head to MRWA standard. Including liaison with ATCO Gas, Main Roads South West and the City of Mandurah. This project included signalisation and electrical upgrades accordingly.
Copy and paste this URL into your WordPress site to embed
Copy and paste this code into your site to embed